5 年
手机商铺
公司新闻/正文
119 人阅读发布时间:2025-11-05 14:16
提到玫瑰,人们总会联想到浪漫与芬芳。但在皮肤科学领域,玫瑰正以全新的姿态登场 —— 韩国科研团队于2022年发表在《BioFactors》期刊的研究证实,法国玫瑰(Rosa gallica)花瓣提取物(RPE)及其活性成分矢车菊素 - 3,5-O - 二葡萄糖苷(CDG),能通过精准调控细胞信号通路,显著提升皮肤保湿能力。这项研究揭示了从天然植物到肌肤屏障修复的完整科学链条,为护肤品研发和医药应用提供了全新方向。
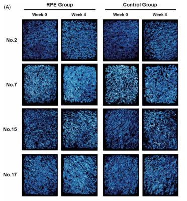
皮肤保湿能力的评估需要客观量化工具,本研究中,Biox Epsilon皮肤水分成像仪成为关键验证设备。该仪器通过光学成像技术捕捉角质层水分分布,并以数值化方式呈现皮肤的保湿状态 —— 数值越高,代表皮肤锁水能力越强。

(Biox Epsilon皮肤水分成像仪)
研究团队开展了为期 4 周的双盲对照临床试验,纳入 22 名 20-60 岁健康女性:
实验设计:左侧面部每日涂抹含 RPE 的乳膏,右侧面部使用不含 RPE 的空白基质作为对照;
检测频率:分别在实验开始(第 0 周)、第 2 周、第 4 周通过Biox Epsilon皮肤水分成像仪检测两侧脸颊水分值;
关键结果:4 周后,RPE 处理侧皮肤水分值从基线的 17.47升至 21.08,提升幅度达 20.63%;空白对照侧仅从 17.66升至 18.96,提升 5.1%。

成像图显示,RPE 处理组的高水分区域(亮区)随时间明显扩大,而对照组变化微弱。这种可视化差异与数值变化相互印证,直观证明了 RPE 的保湿功效。
RPE 的保湿效果究竟源于哪种成分?研究团队通过超高效液相色谱分析,从 RPE 中分离鉴定出 6 种主要成分(其中包括CDG),并逐一测试其对 HAS2(帮助皮肤进行锁水的透明质酸HA的主要合成酶)的调控作用。
实验结果令人惊喜:矢车菊素 - 3,5-O - 二葡萄糖苷(CDG) 是所有成分中活性最强的,且发现其能直接调控合成酶HAS2。
这项研究为医药和护肤品行业提供了双重启示:
RPE 可作为标准化天然保湿成分,其 CDG 含量可作为质量控制指标。相较于化学合成保湿剂,玫瑰提取物兼具温和性与功效性,适合敏感肌人群。
Biox Epsilon皮肤水分成像仪可纳入护肤品功效评价体系,通过客观数据替代主观感受,提升产品可信度。对于消费者而言,这意味着未来可能出现 "玫瑰提取物 + 科学验证" 的保湿产品 —— 既能享受天然成分的温和呵护,又能通过明确的作用机制保证效果。
依据Biox Epsilon皮肤水分成像仪捕捉的临床数据,法国玫瑰花瓣提取物的保湿奥秘被揭开:RPE 通过活性成分 CDG 靶向激活 GLK-MAPK 信号通路,上调 HAS2 表达,促进透明质酸合成,最终实现皮肤水润度的提升。这不仅是天然植物成分的一次 "科学正名",更为保湿领域的创新提供了从 "经验主义" 到 "机制驱动" 的转型例子。